
Padres de familia muestran su molestia ante la cancelación de las clases presenciales, arremetiendo contra las profesores, pues afirman en ocasiones son los propios maestros quienes no se conectan.

Declaró Salvador Esquivel Fierro ante la cancelación del 50% de descuento en el servicio de agua a los adultos mayores

Ninguno de los referidos partidos políticos alcanzó el porcentaje mínimo de votación exigido para conservar su registro.

Sam\"s Club, Walmart y Soriana fueron los principales proveedores con reclamaciones que en su mayoría se centraron en el incumplimiento de ofertas, la cancelación de compra y el no respetar los precios anunciados, siendo Chedraui el llamado \"rey de las ofertas falsas\".

La pandemia del COVID-19 sigue generando estragos en la economía informal, ya que ante el riesgo de contagio se continúan suspendiendo eventos y tradiciones que generaban ganancias a estos comerciantes.

La Secretaria del Ayuntamiento de Tepic informó que a partir de este momento todos los eventos masivos en la capital quedan cancelados, así como aquellas fechas próximas a celebrarse en el Palenque de la Feria.

El consejero presidente del Instituto detalló que no importa si los precandidatos gastaron 5 mil o 100 mil pesos sino que incumplieron con lo que marca la ley

El auditor especial suspendido por supuestos cálculos erróneos en torno a la cancelación del Nuevo Aeropuerto Internacional de México, Agustín Caso Raphael defendió la metodología empleada para la fiscalización de este proceso, que afirma puede alargarse hasta 26 años.

El PRD acusó al Presidente de la República de desatar una persecución contra David Colmenares con el fin de tender n manto de opacidad sobre las irregularidades detectadas en las disintas áreas del Gobierno Federal, más allá del error en el gasto por la cancelación del NAIM.

La decisión tomada por la Conade pegó directamente en la preparación de varias de las cartas fuertes mexicanas de cara a Tokio 2020

El Gobernador Antonio Echevarría García emitió un mensaje a los nayaritas para informar que se ya se cuentan con plantas de luz para evitar que hospitales pierdan la electricidad, así mismo reiteró la cancelación de la Feria Nayarit 2021.

El Director del Registro Civil de Tepic, Nicolás Jacobo González informó que para acatar las medidas antiCOVID se ha decidido cancelar la celebración de bodas colectivas, así mismo explica porque falló el servicio de entrega de actas de nacimiento.

En Puerto Vallarta establece el cierre de bares, antros y cantinas de manera permanente, cancelación de fiestas de fin de año y la suspensión de estas en hoteles, salones y terrazas de eventos

Informa que realiza una investigación sobre la forma en que se asignaron los contratos a Felipa Obrador Olán, prima hermana del presidente de la república

Ante el anuncio emitido por las autoridades en el Estado sobre la cancelación de las tradicionales fiestas patrias, las cámaras de este medio salieron a las calles del Centro Histórico de Tepic a preguntarle a las personas su opinión acerca de estas medidas.

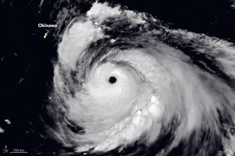
El temporal violento ha provocado ya cortes del suministro de luz, y la cancelación de miles de vuelos. Se estima que el tifón \"dios marino\" supere todos los records de intensidad

El gobernador de Nuevo León confirmó lo que parecía inminente tras el aumento de casos en Nuevo León

El Gobernador de Jalisco, Enrique Alfaro informó que para evitar más contagios de COVID-19 se cancelarán parte de los festejos patrios, así como la Copa Jalisco y las tradicionales Fiestas de Octubre.

La realización del Carnaval Internacional de Mazatlán sigue en suspenso debido a la pandemia de COVID-19, donde Sinaloa continúa en semáforo naranja.